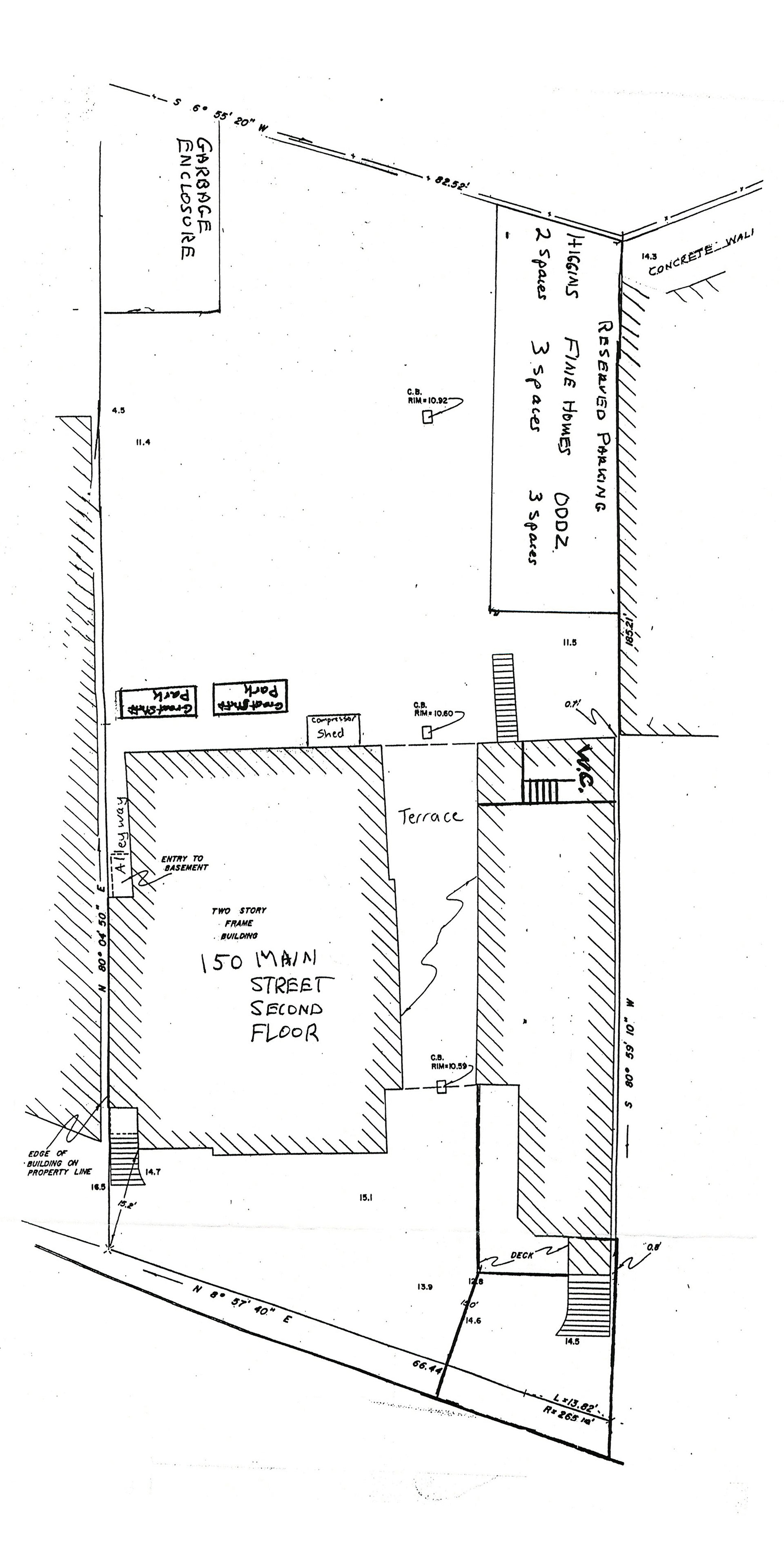
150 Main Steet
westport, connecticut